Ochrana brambor proti mandelince bramborové a výsledky pokusů s insekticidy v roce 2020
23. 07. 2021 Škůdci Zobrazeno 767x
Mandelinka bramborová neměla v zimě 2019/20 vhodné podmínky k přezimování. Je známo, že v mírné zimě, jako byla v minulém roce (2019/20, graf 1), kdy prakticky nedošlo k promrznutí půdy, hibernující dospělci více podléhají bakteriálním a houbovým infekcím, takže počet jarních brouků bývá často redukován.
To dokládá i graf 2 z lokality založení pokusu v Žabčicích, kde je znázorněna závislost průměrné obsazenosti 1 trsu larvami mandelinky bramborové na sumě průměrných měsíčních teplot vzduchu jednak za období prosinec až únor, a také za delší časové období prosinec až březen. Jak dokládají spojnice trendu na tomto grafu, je zřejmé, že roky v levé části grafu tzn. roky, kdy suma měsíčních teplot byla nejvyšší, vykazovaly zároveň nejnižší obsazenost trsů brambor larvami.
Samozřejmě, průběh zimy není jediným faktorem, který ovlivňuje výskyt mandelinky bramborové v daném roce, tudíž ne každý rok musí přesně odpovídat tomuto trendu. Dalšími faktory, které ovlivňují výskyt mandelinky v daném roce, mohou být například:
- početnost populace letních brouků pro přezimování;
- dostatek potravy v závěru vegetace;
- výrazné výkyvy teplot v průběhu zimy;
- povětrnostní podmínky při jarním probouzení mandelinky bramborové a dostupnost potravy, ale i počasí v průběhu celé vegetace;
- výskyt přirozených nepřátel mandelinky (ptáci, slunéčka, ploštice, pavouci atd.);
- použitá agrotechnika, zpracování půdy, použití technologie odkamenění;
- výběr odrůdy.
V roce 2020 následně mandelince bramborové příliš nesvědčil ani průběh počasí v květnu a v červnu (graf 3, tab. 1), kdy květen byl pro vývoj mandelinky poměrně chladný, a to v Žabčicích o 2,09 °C nižší ve srovnání s dlouhodobým průměrem. Červen mokrý s přívalovými srážkami, kdy měsíční úhrn srážek v této lokalitě (156,6 mm) byl o 134,4 % vyšší než dlouhodobý průměr. Z uvedených důvodů byl výskyt mandelinky bramborové slabý až průměrný.
Tab. 1: Porovnání měsíčních úhrnů srážek (mm) a průměrných měsíčních teplot vzduchu (°C) s normály (1961–1990) na lokalitě Žabčice v roce 2020 a jejich kvalitativní vyhodnocení
Graf 1: Přehled průměrných denních teplot (°C) vzduchu a teplot (°C) půdy v 10 a 20 cm na lokalitě Žabčice v období od 1. 11. 2019 do 30. 4. 2020
Graf 2: Závislost průměrné obsazenosti 1 trsu larvami mandelinky bramborové na sumě průměrných měsíčních teplot vzduchu za prosinec až březen v letech 2009 až 2020
Graf 3: Přehled průměrných denních teplot vzduchu a úhrnu denních srážek od 1. 4. 2020 do 31. 8. 2020 na lokalitě Žabčice - automatická meteorologická stanice
Integrovaná ochrana
Integrovaná ochrana proti tomuto nejdůležitějšímu žravému škůdci u brambor spočívá v celém komplexu opatření, která můžeme rozdělit na preventivní agrotechnická opatření a přímé ničení škůdce.
Mezi preventivní agrotechnická opatření patří střídání plodin v rámci osevního sledu a zařazení brambor na stejný pozemek jednou za čtyři roky a již zmíněné zpracování půdy s využitím technologie odkamenění popř. použitím rotavátorů, kdy intenzivní pohyb s půdou dokáže zredukovat počty přezimujícího škůdce.
Přes využití těchto nepřímých nástrojů zůstávají základním prvkem ochrany proti mandelince bramborové přímé metody likvidace škůdce. Na malých pozemcích, na zahrádkách a všude tam, kde je to rozlohou pozemku možné, lze doporučit nechemické metody ochrany, jako je sběr brouků nebo larev a jejich následné mechanické zničení. Speciálně pro větší porosty na ekologických farmách byly také vyvinuty stroje, které odsávají brouky a larvy z napadených rostlin. Tato jednoúčelová a energeticky poměrně náročná mechanizace se u nás nevyužívá.
Pro intenzivní zemědělství v ČR je to pak využití chemických i botanických přípravků, které jsou u nás registrovány (tab. 2) a jejich kombinace za dodržování pravidel bezpečné aplikace a zásad antirezistentní strategie, jejímž základním pilířem je střídání účinných látek z různých skupin, resp. s odlišným mechanizmem účinku.
Tab. 2: Insekticidy registrované v ČR proti mandelince bramborové
|
Zařazení do skupiny |
Účinná látka |
Obchodní jméno přípravku |
Dávkování na 1 ha |
OL (dny) |
|
Pyrethroidy |
alpha-cypermethrin |
Alfametrin ME |
0,25 l |
14 |
|
alpha-cypermethrin |
Vaztak Active |
0,25 l |
14 |
|
|
beta-cyfluthrin |
Bulldock 25 EC |
0,3 l |
28 |
|
|
deltamethrin |
Decis Mega |
0,1 l |
14 |
|
|
deltamethrin |
Decis Protech |
0,3–0,35 l |
14 |
|
|
deltamethrin |
Delmetros 100 SC |
0,05 l |
7 |
|
|
deltamethrin |
Demetrina 25 EC |
0,4 l |
3 |
|
|
deltamethrin |
Dinastia |
0,1 l |
14 |
|
|
deltamethrin |
Koron 100 SC |
0,05 l |
7 |
|
|
deltamethrin |
Scatto |
0,4 l |
3 |
|
|
lambda-cyhalothrin |
Karate se Zeon technologií 5 CS |
0,15 l |
14 |
|
|
lambda-cyhalothrin |
Kendo 5 CS |
0,15 |
14 |
|
|
tau-fluvalinate |
Evure |
0,1 l |
14 |
|
|
tau-fluvalinate |
Mavrik Smart |
0,1 l |
14 |
|
|
zeta-cypermethrin |
AV Cyper |
0,1 l |
AT |
|
|
zeta-cypermethrin |
Agrosales - Zetacypermethrin II |
0,1 l |
AT |
|
|
zeta-cypermethrin |
BEC Zetacyp |
0,1 l |
AT |
|
|
zeta-cypermethrin |
Fury 10 EW |
0,1 l |
14 |
|
|
Diamidy |
cyantraniliprol |
Benevia |
0,125 l |
14 |
|
chlorantraniliprol |
Coragen 20 SC |
50–60 ml |
14 |
|
|
Neonikotinoidy |
acetamiprid |
Acetguard |
0,06 kg |
7 |
|
acetamiprid |
Gazelle |
0,06 kg |
7 |
|
|
acetamiprid |
Mospilan 20 SP |
0,06 kg |
7 |
|
|
acetamiprid |
YOROI |
0,06 kg |
7 |
|
|
Spinosiny |
spinosad |
SpinTor |
0,15 l |
7 |
|
Botanický přípravek |
azadirachtin |
NeemAzal T/S |
2,5 l |
4 |
|
Zdroj: Registr přípravků ÚKZÚZ, březen 2021 Poznámka: Přesné použití přípravku viz registr přípravků ÚKZÚZ a etiketa přípravku. OL - ochranná lhůta ve dnech. |
||||
Antirezistentní strategie
Dodržováni antirezistentní strategie v ochraně proti mandelince bramborové je zcela zásadní vzhledem k její vysoké flexibilitě a adaptaci na chemické látky, kdy velmi rychle dochází k selekci rezistentních jedinců. Velkým problémem je i to, že si dokáže zároveň vytvořit rezistenci vůči látkám ze stejné skupiny, ale může být současně rezistentní vůči dvěma nebo i více skupinám účinných látek. Od poloviny 20. století je známa ve světě rezistence vůči více než 50 různým látkám ze všech hlavních skupin insekticidů a toto číslo se neustále zvyšuje.
V České republice byly prozatím prokázány rezistentní populace nejdříve vůči DDT, následně vůči pyretroidům, organofosfátům a v roce 2010 byly potvrzeny lokální rezistentní populace vůči acetamipridu ze skupiny neonikotinoidů. V průběhu několika posledních let byly v ČR zjištěny také lokální rezistentní populace vůči thiaclopridu a thiamethoxamu ze stejné skupiny neonikotinoidů.
Vzniku rezistence se lze vyhnout jen velmi obtížně, ale je možné rezistenci potlačit racionálním používáním insekticidů v rámci integrované ochrany. K tomu je ale nutný širší výběr insekticidů z různých skupin přípravků s odlišným mechanizmem účinku. V posledních letech se ale navzdory těmto znalostem možný výběr přípravků, a to nejen u insekticidů proti mandelince bramborové, zužuje. V ČR je v současné době proti tomuto škůdci registrováno 26 přípravků (tab. 2), ale z toho je 18 ze stejné skupiny pyretroidů, 4 ze skupiny neonikotinoidů, ale všechny pouze na bázi acetamipridu, 2 ze skupiny diamidů, 1 ze skupiny spinosinů a 1 botanický insekticid.
Za poslední 3 roky byly vyřazeny z registru přípravků na ochranu rostlin proti mandelince bramborové přípravky na bázi imidaclopridu, thiamethoxamu, chlorpyryfosu a od letošního roku již nelze používat přípravky na bázi thiaclopridu. I když u těchto účinných látek již byly v ČR zjištěny rezistentní populace, tak v některých případech bylo jejich využití stále opodstatněné. Tam, kde se nevyskytovaly rezistentní populace, byla jejich účinnost s výjimkou přípravků na bázi chlorpyryfosu, velmi vysoká blížící se 100 %, což dokresluje graf 6, kde je znázorněna dlouhodobá průměrná účinnost jednotlivých přípravků, a kde jsou restringované přípravky znázorněny světlejšími barvami. Je nutno si také uvědomit, že tyto účinné látky velmi dobře účinkovaly i na populace mšic, což jsou nejdůležitější přenašeči virových chorob. To bylo velkou výhodou u sadbových porostů. Ze zbývajících účinných látek, které jsou doposud dostatečně účinné proti mandelince bramborové, není žádná proti mšicím v bramborách registrována.
Z uvedeného plyne, že pokud nedojde k registraci nových účinných látek, může do budoucna vyvstat velký problém právě s dodržováním antirezistentní strategie a s nárůstem rezistentních populací i vůči zbývajícím účinným látkám, které ještě vykazují proti mandelince bramborové dostatečnou účinnost.
Výsledky pokusů v roce 2020
Přesné polní pokusy v roce 2020 se podařilo založit pouze v ranobramborářské oblasti jižní Moravy v Žabčicích, ve školním zemědělském podniku Mendelovy univerzity v Brně. Metodika se nelišila od předchozích let. Pokus byl založen metodou úplně znáhodněných bloků s kontrolami zahrnutými do bloků. Byla použita běžná agrotechnika s aplikací herbicidů a fungicidů.
Na lokalitě Žabčice bylo v rámci výzkumného úkolu NAZV QK1910270 s názvem „Inovace integrované ochrany brambor proti mandelince bramborové založené na nových poznatcích genetických a biologických charakteristik“ celkem 16 variant. V tomto článku budou prezentovány výsledky z 9 variant, které byly ošetřeny registrovanými insekticidy proti mandelince bramborové v registrovaných dávkách. Vybrané insekticidy, které byly zařazeny do pokusu, jsou uvedeny v tabulce 3. Byly vybrány insekticidy ze všech skupin chemických látek, které v současné době registr přípravků nabízí.
V přesném polním pokusu byla na lokalitě Žabčice ve sponu 75 × 30 cm vysázena tradičně odrůda Rosara, která se osvědčila pro tento typ prováděných pokusů. Daná odrůda musí mandelince bramborové takzvaně „chutnat“ a jednak pro následné vyhodnocení nesmí mít příliš bujnou nať, aby se jednotlivé trsy daly optimálně vyhodnotit a nebyly vzájemně příliš propleteny. Způsob založení byl podélný. Dávka vody byla u všech variant 400 l/ha. V době aplikace se na pokusných parcelách vyskytovala s největší četností larvální stadia LII a LIII. Hodnocení byla prováděna na vybraných trsech na každém opakování dané varianty, které byly nejvíce napadeny larvami mandelinky bramborové. Hodnocení proběhla v termínech těsně před aplikací a následně 2. den a 7 dnů po aplikaci. Průměrná účinnost insekticidů na mortalitu larev LI – LIV byla vyhodnocena metodou podle Hendersona-Tiltona.
V roce 2020 bylo průměrné napadení larev na jednom trsu neošetřené kontroly 17,1 ks, což bylo nejméně na této lokalitě za posledních 12 let (tab. 4), s výjimkou roku 2016, kdy se zde mandelinka v dostatečném množství nevyskytovala. Zároveň rok 2020 patřil k těm s pozdější potřebou ochrany proti tomuto škůdci.
Pro lepší názornost a dokreslení účinnosti jednotlivých přípravků jsou prezentovány kromě výsledků z roku 2020 (graf 4 a 5) i průměrné dlouhodobé výsledky z let 2007 až 2020 (graf 6) a procento změny výnosu a úbytku listové plochy (defoliace) žírem mandelinky bramborové z roku 2018 (graf 7, 8), kdy bylo extrémní napadení mandelinkou bramborovou (tab. 4), která v tomto roce způsobovala poměrně často až holožíry.
Tab. 3: Přehled variant zařazených do pokusu v roce 2020
|
Číslo |
Varianta |
Účinná látka |
Dávka v kg, l/ha |
|
1. |
kontrola |
- |
|
|
2. |
NeemAzal T/S |
azadirachtin |
2,50 l |
|
3. |
Biscaya 240 OD |
thiacloprid |
0,20 l |
|
4. |
Benevia |
cyantraniliprol |
0,125 l |
|
5. |
Mospilan 20 SP |
acetamiprid |
0,06 kg |
|
6. |
SpinTor |
spinosin A + D |
0,15 l |
|
7. |
Coragen 20 SC |
chlorantraniliprol |
0,06 l |
|
8. |
Karate se Zeon technologií 5 CS |
lambda-cyhalothrin |
0,15 1 |
|
9. |
Decis Mega |
deltamethrin |
0,1 l |
Tab. 4: Přehled prvního termínu aplikace insekticidů proti mandelince bramborové a průměrný výskyt larev na neošetřené kontrole na jednom trsu v letech 2009 až 2020 na lokalitě Žabčice
|
Rok |
Datum aplikace |
Průměrný počet larev na jeden trs |
|
2009 |
18. 6. |
37,6 |
|
2010 |
28. 6. |
31,6 |
|
2011 |
13. 6. |
26,1 |
|
2012 |
27. 6. |
35,8 |
|
2013 |
1. 7. |
50,4 |
|
2014 |
24. 6. |
21,25 |
|
2015 |
25. 6. |
31,03 |
|
2016 |
- |
- |
|
2017 |
14. 6. |
38,1 |
|
2018 |
5. 6. |
47,8 |
|
2019 |
18. 6. |
19,1 |
|
2020 |
24. 6. |
17,1 |
Graf 4: Účinnost přípravků v jednotlivých termínech hodnocení podle Hendersona-Tilltona vůči neošetřené kontrole na mandelinku bramborovou (larvální stadia LI–LIV) v roce 2020 (Žabčice, odrůda: Rosara, aplikace insekticidů 24. 6. 2020)
Graf 5: Procento úbytku listové plochy žírem mandelinky v období od 24. 6. do 8. 7. 2020 (aplikace insekticidů: 24. 6. 2020)
Graf 6: Průměrná účinnost vybraných insekticidů v jednotlivých termínech hodnocení podle Hendersona-Tilltona vůči neošetřené kontrole na mandelinku bramborovou (larvální stadia LI–LIV) z víceletých pokusů (Žabčice, 2007–2020)
Graf 7: Procento úbytku listové plochy žírem mandelinky v období od 5. 6. do 21. 6. 2018 (aplikace insekticidů: 5. 6. 2018)
Graf 8: Procento zvýšení výnosu oproti neošetřené kontrole v roce 2018, lokalita Žabčice, odrůda Rosara
Azadirachtin
Jedná se o botanický přípravek na bázi výtažku ze semen rostliny Azadirachta indica, což je strom pocházející z Indie a jihovýchodní Asie. Jeho části (plody, semena, listy, kůra atd.) se používají k extrakci řady účinných látek, které se využívají například i k léčbě některých chorob. Některé látky z něj získané, jako právě azadirachtin, mají pak i insekticidní účinnost. Přípravek mandelinku bramborovou přímo nehubí, ale zastavuje žír brouků a larev. U brouků navíc způsobuje jejich neplodnost. Tomu odpovídá i počáteční účinnost na mortalitu larev, která je nižší, tudíž účinnost se musí posuzovat pomocí procenta úbytku listové plochy tzv. defoliace. Tento přípravek je vhodný pro zařazení v rámci antirezistentní strategie. Nevýhodou přípravku je jeho vyšší cena. Je povolen i pro ekologické pěstování brambor.
NeemAzal T/S (azadirachtin) dávka 2,5 l/ha
Výsledky pokusů potvrzují zjištěnou nižší mortalitu larev při prvním hodnocení na úrovni 30 %, která postupně narůstá. Základním hodnocením pro tuto účinnou látku, jak už bylo řečeno, je vyhodnocení defoliace, kde byl zjištěn nárůst po 14 dnech od aplikace pouze o necelá 3 %. Když se podíváme na graf 7 z roku 2018, kdy bylo extrémní napadení mandelinkou bramborovou, zjistíme, že i v tomto roce po týdenním hodnocení vzrostlo procento defoliace pouze o cca 10 %, přičemž na neošetřené kontrole byl úbytek listové plochy o více jak 60 %. Při výnosových zkouškách v roce 2018 byl zjištěn nárůst výnosu u této varianty o více než 100 %.
Diamidy
V registru přípravků jsou z této skupiny dvě účinné látky: chlorantraniliprol a cyantraniliprol. V ČR, vzhledem k jejich doposud poměrně malému rozšíření, nebyly zaznamenány vůči těmto účinným látkám rezistentní populace. Vzhledem k jejich vysoké účinnosti stále platí, že jsou velmi vhodné pro zařazení v rámci antirezistentní strategie.
Benevia (cyantraniliprol) dávka 0,125 l/ha
Coragen 20 SC (chlorantraniliprol) dávka 0,06 l/ha
Oba přípravky mají pozvolnější nástup účinnosti, což je zřejmé především z grafu 6, kde se projevuje převaha dřívějšího prvního termínu hodnocení do 24 hod po aplikaci. Druhý nebo třetí den po aplikaci se účinnost pohybuje již kolem 90 % a v následném hodnocení po 7 dnech již velmi často atakuje hranici 100 %. Navíc, pokud se podíváme na vyhodnocení defoliace v roce 2020 i v roce 2018, je zřejmé, že mandelinka bramborová přestává provádět úživný žír. V roce 2018, kdy ještě nebyl zařazen v pokusu přípravek Benevia, byl zjištěn u varianty ošetřené přípravkem Coragen nárůst výnosu oproti neošetřené kontrole o cca 114 %.
Neonikotinoidy
Je to skupina syntetických insekticidů odvozených od molekuly nikotinu. Za dobu svého používání se pro svou vysokou účinnost stala celosvětově nejrozšířenější skupinou insekticidů. Vzhledem k zařazení neonikotinoidů mezi potenciálně vysoce rizikové látky pro včely, dochází v posledních letech v EU k jejich silnému omezování a restrikcím. Pro rok 2021 jsou registrovány pouze 4 přípravky, které jsou ale všechny na bázi acetamipridu. Do pokusu v roce 2020 byl pro srovnání ještě zařazen přípravek na bázi thiaclopridu (Biscaya 240 OD), s kterým již pro letošní sezonu počítat nemůžeme.
Mospilan 20 SP (acetamiprid) dávka 0,06 kg/ha
Acetamiprid je poslední registrovanou látkou ze skupiny neonikotionoidů proti mandelince bramborové, bohužel, jak již bylo popsáno výše, většina populací v ČR je již vůči této účinné látce rezistentní. V loňském roce byla opět potvrzena jeho nízká účinnost. Na lokalitě Žabčice dosáhla po 2 dnech necelých 40 %, ale následně po 7 dnech již nebyl zjištěn rozdíl vůči neošetřené kontrole. Z procenta defoliace je zřejmé, že ke snížení škodlivosti (žíru) larev mandelinky došlo, což je v souladu i s výsledky defoliace roku 2018 a následně i dosaženého zvýšení výnosu.
Je nutno připomenout i výsledek pokusů z roku 2019 ve Valečově (Agromanuál č. 5/2020), kde se tento přípravek v posledních letech prakticky nevyužívá, a kde byla zjištěna účinnost při druhém hodnocení 97,46 %. Z toho je zřejmé, že v lokalitách, kde se tento přípravek nepoužíval nebo používal pouze v omezené formě, ho lze zařadit v zcela odůvodněných případech do antirezistentní strategie.
Pyretroidy
V registru přípravků proti mandelince bramborové je v současné době celkem 18 insekticidů (6 účinných látek) z této chemické skupiny. Největší zastoupení má deltamethrin, který je účinnou látkou v 7 přípravcích. Krátkou dobu po uvedení pyretroidů na trh a jejich plošném používání se vyselektovaly rezistentní populace mandelinky bramborové vůči všem účinným látkám z této skupiny. V současné době jsou tyto přípravky proti mandelince prakticky neúčinné a tudíž nevhodné pro antirezistentní strategii.
Decis Mega (deltamethrin) dávka 0,1 l/ha
Karate se Zeon technologií 5 CS (lambda-cyhalothrin) dávka 0,15 l/ha
Účinnost na hranici 50 % u těchto přípravků byla zjištěna 2 dny po aplikaci. Při hodnocení týden po aplikaci již nebyl vliv na mortalitu larev pozorován žádný, což potvrzují i výsledky hodnocení defoliace, kdy u obou přípravku procento úbytku listové plochy bylo po 14 dnech prakticky obdobné jako u neošetřené kontroly. V roce 2018 u varianty ošetřené přípravkem Karate se Zeon technologií 5 CS nebyl zjištěn nárůst výnosu oproti neošetřené kontrole.
Spinosiny
U nás je registrován zatím jeden přípravek z této skupiny na bázi spinosadu, což je látka získaná fermentační činností bakterií Saccharopolyspora spinosa. Bakterie se běžně vyskytuje v půdě. Jeho účinnost ho řadí v ČR mezi nejlepší přípravky proti mandelince bramborové. Je velmi vhodný pro zařazení v rámci antirezistentní strategie. Je povolen i pro ekologické pěstování brambor.
SpinTor (spinosad) dávka 0,15 l/ha
V roce 2020 jeho účinnost na mortalitu larev dosáhla 95 %, přičemž nárůst defoliace po 14 dnech ode dne aplikace nebyl prakticky zjištěn. Stejně tak při extrémním výskytu mandelinky bramborové v roce 2018 od aplikace přípravku nebyl zjištěn úživný žír a nárůst výnosu byl o 110 % oproti neošetřené kontrole. Takto vysokou účinnost si udržuje od svého zavedení na trh v ČR v roce 2009.
Aktualizované zásady použití insekticidů pro rok 2021
K aplikaci insekticidů je třeba přistoupit, dosáhne-li výskyt škůdce prahů škodlivosti. Výskyt se zjišťuje počítáním dospělců a ohnisek larev na 1 ha. Za práh škodlivosti je pak považováno 14 ohnisek larev na 1 ha nebo výskyt 5 000 larev na 1 ha. V praxi však rozhodování podle těchto hodnot nelze paušalizovat. Je známo, že výskyt škůdce v porostu není rovnoměrný a zvláště plochy o více hektarech nevyžadují přímý zásah na celé ploše, což platí zejména v bramborářské oblasti.
Z hlediska co nejvyšší účinnosti zásahu je nutné provádět ošetření na larvy prvního a druhého vývojového stupně. U následných instarů se zvyšuje tolerance a riziko vzniku rezistentních jedinců.
Při ochraně proti mandelince bramborové je vhodné dodržovat následná doporučení:
- při opakované aplikaci v rámci antirezistentní strategie používat přípravky z odlišných skupin přípravků, resp. přípravky s jiným mechanizmem účinku;
- upřednostnit účinné přípravky, u kterých doposud nebyly zjištěny v ČR rezistentní populace;
- pro sezonu 2021 využit proti mandelince bramborové přípravek ze skupiny spinosinů nebo jeden z diamidů, popřípadě botanický přípravek na bázi azadirachtinu (vyšší cena);
- u ekologicky pěstovaných brambor lze použít přípravek ze skupiny spinosinů nebo botanický přípravek na bázi azadirachtinu;
- upustit od používání pyretroidů;
- omezit použití acetamipridu, zvláště v oblastech, kde byla pozorována jeho nižší účinnost. V oblastech, kde bylo jeho použití malé a není zaznamenán pokles jeho účinnosti, ho lze využít pro zařazení v rámci antirezistentní strategie;
- dodržovat registrovanou dávku a koncentraci přípravku a použít smáčedlo;
- pro zjištění stavu výskytu mandelinky a rozhodnutí o potřebě aktivní ochrany porostů brambor je nutno provádět soustavnou kontrolu již od vzejití brambor;
- ošetřovat v optimálním termínu, tj. přednostně při maximálním výskytu larev prvního a druhého vývojového stupně v porostech (účinnost na malé larvy je u všech přípravků vyšší než na dorostlé larvy a na dospělce);
- dodržovat ochrannou lhůtu mezi posledním ošetřením a sklizní brambor;
- ošetření porostů brambor neprovádět za vysokých teplot, ale upřednostňovat aplikaci přípravků po ránu, či v pozdějším odpoledním čase (při vysokých teplotách se snižuje účinnost některých insekticidů, především pyretroidů);
- často stačí insekticidy ošetřit pouze ohniska výskytu mandelinky bramborové nebo okraje pole, kde se škůdce vyskytuje nejvíce.

Dospělci mandelinky bramborové

Kolonie vajíček mandelinky bramborové na spodní straně listu

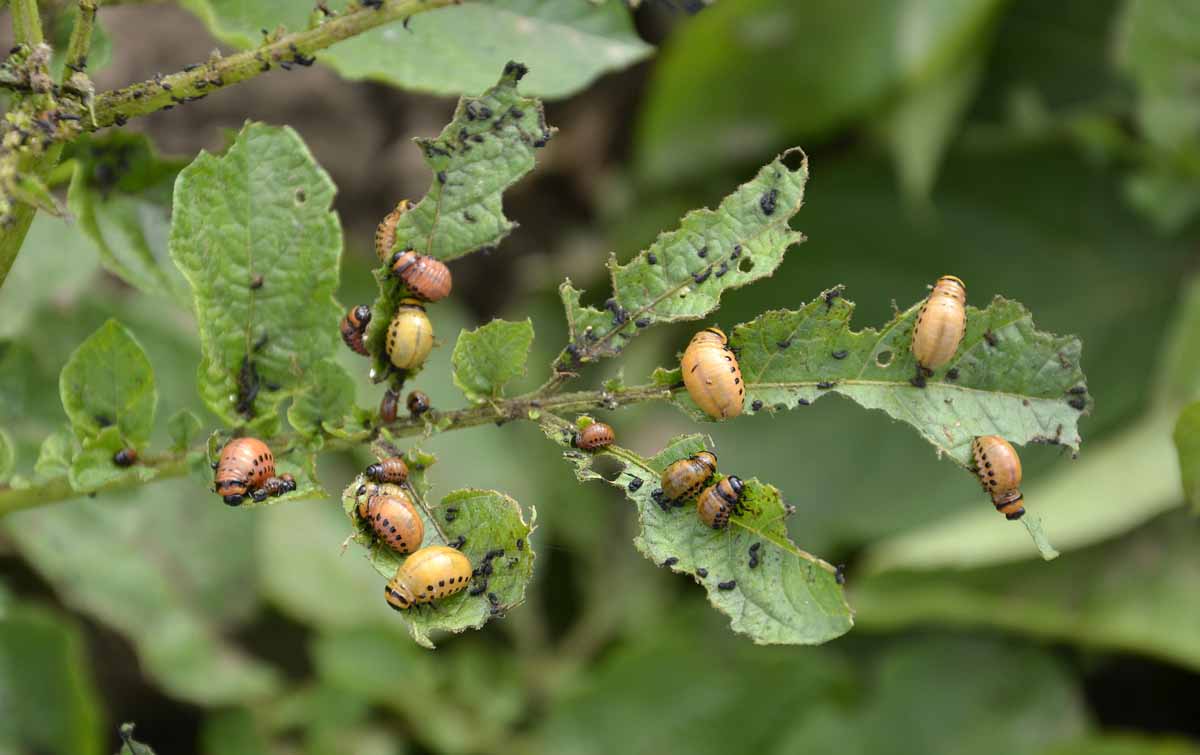
Různá vývojová stadia larev mandelinky bramborové

Extrémní napadení trsů larvami mandelinky bramborové v roce 2018

Holožír způsobený mandelinkou bramborovou
Zpracováno s podporou projektu NAZV QK1910270 a institucionální podpory na dlouhodobý koncepční rozvoj výzkumné organizace reg. č. MZE-RO1621.
Další články v kategorii Škůdci











RSS
RSS