Polní pokusy s odrůdami řepky rezistentními vůči Plasmodiophora brassicae v sezoně 2017/18
22. 07. 2019 Osivo a sadba Zobrazeno 945x
Dalo by se říci, že již tradičně šestým rokem se uskutečnily poloprovozní polní pokusy odrůdami řepky deklarovanými jako rezistentní proti patogenu Plasmodiophora brassicae, který způsobuje chorobu nádorovitost kořenů brukvovitých, tedy i řepky. Jedná se o půdního patogena, jehož spory v půdě přežívají dlouhou dobu (až 20 let) a je tedy z půdy prakticky nevymýtitelný, protože jeho hostitelem jsou i brukvovité plevele, které se na poli vyskytují téměř vždy.
Hlavním symptomem choroby jsou nádory vzniklé na kořenech, které obsahují miliardy spor o velikosti 3–4 μm, které se velmi snadno půdou šíří na zemědělských strojích, vodou či větrem nebo jiným způsobem při přemísťování zeminy. Životní cyklus patogena je poměrně složitý a zahrnuje i obrvená stadia zoospor, které jsou nejnáchylnější k chemickému ošetření, jehož použití je možné pouze na menších plochách, zejména pro zelinářské účely. Pro polní praxi není chemické ošetření použitelné z hlediska finanční nákladnosti, a také ekologické zátěže.
Proto je zatím jediným fungujícím řešením na zamořených pozemcích použití rezistentních odrůd řepky. Tyto odrůdy nesou jeden major gen rezistence, který funguje proti převládajícím evropským patotypům (rasám) patogena. Protože je gen pouze jeden, je tu riziko možného prolomení (degradace) rezistence a je nutný dodržovat takzvaný „stewardship“, tedy péči o udržení rezistence, zejména dostatečný rozestup mezi pěstování rezistentů na zamořeném pozemku, aby nedošlo k selekci nových patotypů patogena.
Průběh pokusů
V sezoně 2017/18 byly poloprovozní pokusy s trojnásobným opakováním založeny na dvou lokalitách: Valdice (východní Čechy), Opavice (severní Morava). Oba použité pozemky byly silně zamořené P. brassicae, přesto se napadení rostlin řepky projevilo z důvodů půdně-klimatických pouze ve Valdicích.Tato náhodně vzniklá situace poskytla jedinečný pohled na výkonnost zkoušených odrůd v podmínkách s napadením a bez něj.
Do pokusů byly zařazeny odrůdy: SY Alibaba (Syngenta), Croquet (Rapool CZ), DK Platinium, DK Pliny (Monsanto), Mentor (Rapool CZ), PT 242 (Pioneer). Jako kontrola infekce použita náchylná odrůda řepky: Inspiration.
Na pozemku ve Valdicích (8,5 ha) byl pokus vyset 25. 8. 2017 a sklizen 20. 7. 2018. Na pozemku v Opavici (10 ha) byl pokus vyset 24. 8. 2017 a sklizen 16. 7. 2018. Na pozemcích byla aplikována běžná podzimní ochrana: preemergentní a postemergentní herbicid a graminicid.
Parcely byly pravidelně kontrolovány jednou v průběhu podzimu a dvakrát na jaře (Valdice) a byla hodnocena míra napadení kořenů (ID - index napadení). Rostliny byly odebírány náhodným výběrem metodou jednoho řádku, vždy 30 rostlin na odrůdu a parcelu (obr. 1 až 6). Pozemek v Opavici byl kontrolován pouze jednou na podzim, z důvodu nepřítomnosti infekce se na jaře s kontrolami nepokračovalo. Na každé parcele byl hodnocen počet přezimujících rostlin, velikost kořenových krčků (Valdice, Opavice).

Obr. 1: Pohled na kontrolní odrůdu napadenou patogenem P. brassicae vlevo a rezistentní vpravo na podzim 2017, Valdice

Obr. 2: Nádory způsobené patogenem P. brassicae na kontrolní, náchylné odrůdě, Valdice

Obr. 3: Pohled na kontrolní odrůdu napadenou patogenem P. brassicae vlevo a rezistentní odrůdu vpravo na jaře 2018, Valdice

Obr. 4: Rozpadající se nádory způsobené patogenem P. brassicae na kořenech náchylné odrůdy, do půdy se uvolňují miliardy spor patogena, jaro 2018, Valdice

Obr. 5: Tvrdý nádor na kořenech náchylné odrůdy, kde je patrná snaha rostliny o regeneraci pomocí postranních kořenů, jaro 2018, Valdice

Obr. 6: Parcela s kontrolní odrůdou po odkvětu v květnu 2018, Valdice
Hodnocení pokusů
U odebraných kořenů byla stanovována míra poškození na základě stupnice poškození (Kuginuki et al. 1999), kde odpovídá 0 - bez napadení, 1 - nádor na postranních kořenech, 2 - nádor na postranním a hlavním kořeni, 3 - velký nádor, hlavní kořen deformován. Pomocí této stupnice byl vypočítán index napadení (ID - Index of Disease) a to pomocí vzorce: ID(%) = Σ(n×0+n×1+n×2+n×3)/N×3 × 100%, kde n je počet rostlin v jednotlivých třídách stupnice a N je celkový počet rostlin (Strelkov et al., 2006). Data z jednotlivých kontrol byla zprůměrována.
Pro zjištění počtu přezimujících rostlin byly na podzim na každé parcele vytyčeny tři plochy o rozloze 1m2, kde byl odečten počet rostlin. Další odečet byl prováděn brzy z jara, byla vypočtena průměrná mortalita rostlin na parcele a procenta vyzimování. Na lokalitě Opavice byly rostliny počítány pouze na podzim z důvodu nepřítomnosti infekce.
V průběhu podzimu byly na hodnocených rostlinách změřeny kořenové krčky, výsledky pro jednotlivé odrůdy byly zprůměrovány.
Výsledky
Na lokalitě Valdice byl index napadení, kromě kontrolní, varianty velmi nízký u všech odrůd. Na jaře je dokonce zaznamenán pokles, a to z důvodu vyzimování napadených rostlin (graf 1). Index napadení u lokality Opavice z důvodu absence infekce není uveden.
Při porovnání podzimního počtu rostlin na 1 metr čtvereční na obou lokalitách (grafy 2 a 3) je zřejmé, že na lokalitě Valdice došlo k lepšímu vzcházení a všechny odrůdy dosáhly počtu nad 32 rostlin. Odrůda Croquet dokonce 40 a SY Alibaba 39 rostlin/m2. Na jaře je patrný výrazný úbytek rostlin zejména na kontrolní variantě (z 34 na 19 rostlin). Na lokalitě Opavice se pohyboval počet rostlin okolo 30, výjimku tvořila pouze odrůda SY Alibaba (33 rostlin.
Tloušťka kořenového krčku na lokalitě Valdice kolísala mezi 69 mm u kontroly a 94 mm u odrůdy Mentor. Lokalita Opavice zaznamenala vyšší hodnoty od 95 mm u kontrolní odrůdy po 101,5 mm u odrůdy Croquet.
Výnosové parametry jsou zobrazeny v grafech 4 a 5 a tabulce 1. Na lokalitě Valdice dosáhla nejvyššího výnosu odrůdy SY Alibaba s průměrem 197,9 % na kontrolu (100 %) a výnosem 4 t/ha. Dále se umístily odrůdy Mentor (193,5 %) s výnosem 3,9 t/ha Crocquet (190,4 %) s výnosem 3,8. Výnosové výsledky jsou jedny z nejlepších v historii konání těchto pokusů a ani výnosy ostatních odrůd nejsou nejhorší s přihlédnutím k tomu, že se jedná o rezistentní odrůdy, které musí platit určitou „daň za rezistenci“ a kompenzovat energii, která je vydávaná právě při jejím působení. Na lokalitě Opavice, která byla bez napadení, dosáhla nejvyššího výnosu opět odrůda SY Alibaba s průměrem 109,3 % a výnosem 3,9 t/ha. Dále se se shodným průměrným výnosem 3,7 t/ha umístily odrůdy Mentor (105,4%) a DK Pliny (104,2%). Náchylná odrůda Inspiration poskytla vyšší výnos než dvě rezistentní odrůdy. Nejen u odrůdy SY Alibaba byl pak tedy patrný markantní rozdíl mezi lokalitami. Pokusy v Opavici tak potvrdily, že při absenci tlaku patogena dosáhly rezistentní odrůdy nižších výnosů.
Tab. 1: Výnosy odrůd řepky v t/ha při 8% vlhkosti s odolností proti Plasmodiophora brassicae (POP SPZO 2017/18)
|
Lokalita |
Opakování |
Odrůda |
||||||
|
Kontrola* |
Mentor |
DK Platinium |
Croquet |
PT242 |
SY Alibaba |
DK Pliny |
||
|
Valdice |
A |
1,8 |
3,8 |
3,5 |
3,6 |
2,7 |
4,0 |
3,5 |
|
B |
2,1 |
4,0 |
3,6 |
4,1 |
3,8 |
4,4 |
3,3 |
|
|
C |
2,1 |
3,8 |
3,4 |
3,7 |
3,7 |
3,5 |
3,3 |
|
|
Průměr (t/ha) |
2,0 (100 %) |
3,9 |
3,5 |
3,8 |
3,4 |
4,0 |
3,4 |
|
|
Opavice |
A |
3,7 |
3,7 |
3,5 |
3,5 |
3,4 |
3,9 |
3,9 |
|
B |
3,5 |
3,9 |
3,2 |
3,7 |
3,3 |
3,9 |
3,6 |
|
|
C |
3,4 |
3,6 |
3,3 |
3,5 |
3,3 |
3,8 |
3,6 |
|
|
Průměr (t/ha) |
3,5 (100 %) |
3,7 |
3,3 |
3,6 |
3,3 |
3,9 |
3,7 |
|
|
Pozn.: 100 % = průměr výnosů všech odrůd v pokusu zařazených |
||||||||
Graf 1: Index napadení odrůd řepky vyjádřený v procentech pro lokalitu Valdice
Graf 2: Počet rostlin na 1 m2 a tloušťka kořenového krčku na podzim 2017 a na jaře 2018 pro lokalitu Valdice
Graf 3: Počet rostlin na 1 m2 a tloušťka kořenového krčku na podzim 2017 pro lokalitu Opavice
Graf 4: Výnos rezistentních odrůd ze tří opakování pokusů ve Valdicích - sloupce A, B a C a průměrný výnos v % na kontrolu (žlutá čára)
Graf 5: Výnos rezistentních odrůd ze tří opakování pokusů v Opavici - sloupce A, B a C a průměrný výnos v % na kontrolu (žlutá čára)
Mapování pokusů pomocí vegetačních indexů
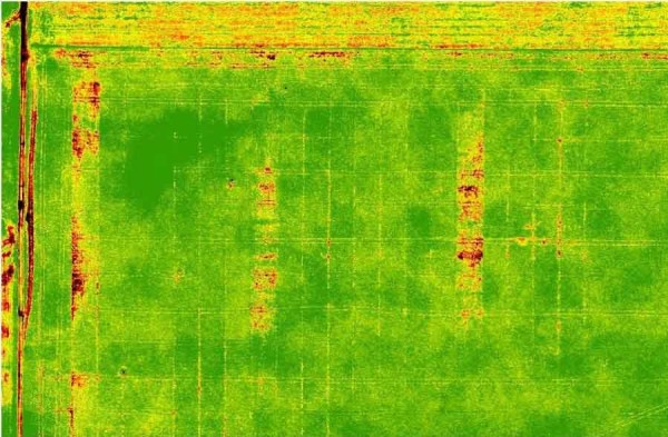
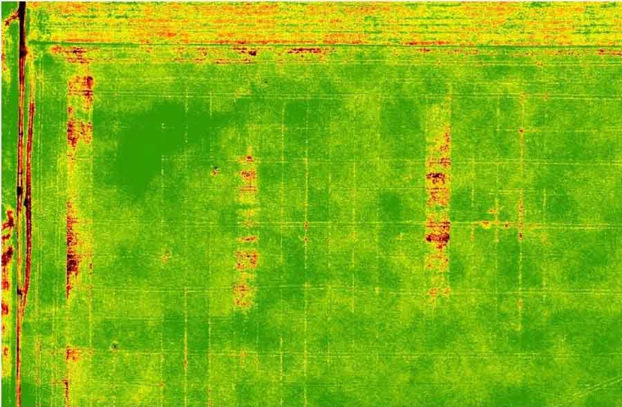
V rámci pokusů bylo také poprvé využito monitorování pomocí dronu, který byl použit k měření NDVI indexu (normalized difference vegetation index). Tento index udává odrazivost světelného spektra z vegetace a je jím možno sledovat rozdíly ve vegetaci, jak jsou rostliny stresované, například na základě rozdílné intenzity fotosyntézy. Stresované rostliny se pak zobrazují v barevné škále barvou červenou, nestresované zelenou. NDVI index se často používá k zobrazení rozdílů způsobených například rozdílnou, nedostatečnou výživou a na základě něho se pak vytváří aplikační mapy pro hnojení. V těchto pokusech bylo indexu použito k zobrazení rozdílů mezi rezistentními odrůdami a odrůdou kontrolní. Mapování, zobrazení i výpočet provedl ing. Radova Breuss ze společnosti Breuss Aircraft Works.
Snímkování proběhlo na jaře koncem dubna za přísušku a pak ještě v půlce května po dešti. Už z pouhých fotografií vegetace z dronu je jasný rozdíl mezi parcelami napadenými a bez napadení (obr. 7). Po výpočtu NDVI indexu je patrné, že parcely s kontrolní odrůdou vykazují jinou barevnou škálu a převažující červená značí, že rostliny jsou stresované z důvodu působení patogena (obr. 8). Při porovnání situace z konce dubna (obr. 9) a půlky května (obr. 10) je patrné zlepšení po příchodu vláhy, která způsobila regeneraci rostlin.
Závěrem
Pokud k napadení patogenem nedojde, rozdíl mezi výkonností rezistentních odrůd a neodolné, kontrolní odrůdy nebyl velký (Opavice). V případě napadení rostlin poskytly odolné odrůdy významně vyšší výnosy, u nejlepších hybridů až dvojnásobné (Valdice).
Při tlaku patogena dosáhly odrůdy daleko lepších výsledků než při jeho absenci. Proto je důležité si uvědomit, že se rezistentní odrůdy nemají používat z preventivních důvodů, ale pouze polích s výskytem Plasmodiophora brassicae a to i z důvodu ochrany rezistence. Nikdy v minulosti jsme neměli takto důkladně podložená data o výkonnosti rezistentních odrůd, pocházející z pokusů skutečně velmi blízkých provozním podmínkách.
Vegetačních indexů a mapování vegetace lze použít nejen k tvorbě výnosových nebo aplikačních map, ale také k monitoringu napadení vegetace patogeny, na základě něho pak postupovat při ošetřování postižené plodiny.

Obr. 7: Pohled na pokusný pozemek ve Valdicích na jaře 2018, snímek z dronu; na kontrolních parcelách je patrný úbytek rostlin vlivem působení patogena

Obr. 8: Snímek s NDVI indexem na pozemku ve Valdicích na podkladě leteckého snímku

Obr. 9: NDVI index pro pokus ve Valdicích, 21. 4. 2018 při přísušku; červeně zobrazené parcely jsou kontrolní, kde rostliny vykazují změnu v intenzitě fotosyntézy vlivem působení patogena P. brassicae

Obr. 10: NDVI index pro pokus ve Valdicích, 10. 5. 2018 po dešti; vláha způsobila zlepšení fotosyntézy i na napadených rostlinách
foto: 1–7 V. Konradyová, 8–10 R. Breuss
Další články v kategorii Osivo a sadba











RSS
RSS