Aktuální přehled ochrany zahrad, sadů a vinic - duben a květen
25. 04. 2011 Ochrana obecně Zobrazeno 39627x
Na ovocných stromech, zvláště na citlivých odrůdách jádrovin, v tomto období škodí padlí jabloňové a strupovitost jádrovin. Ze škůdců to jsou obaleči pupenoví - na koncích letorostů sbalené listy; svilušky a různé druhy mšic. Mera skvrnitá je u nás hlavním škůdcem intenzivních výsadeb hrušní. S postupujícím oteplováním narůstají v posledních letech výskyty i škodlivost roztočů na ovocných i okrasných výsadbách. Nejedná se jenom o svilušky, ale také o různé vlnovníky a hálčivce. Hálčivec hrušňový při jarním přemnožení napadá rašící listy i květy a škodí i na plůdcích.
Ovocné plodiny
Jádroviny
Na ovocných stromech, zvláště na citlivých odrůdách jádrovin, v tomto období škodí padlí jabloňové a strupovitost jádrovin. Ze škůdců to jsou obaleči pupenoví - na koncích letorostů sbalené listy; svilušky a různé druhy mšic. Mladé plůdky jabloní po odkvětu poškozují pilatka jablečná a zobonoska ovocná. Na hrušních může také škodit rez hrušňová a místy i mera skvrnitá a mera hrušňová. V oblastech, kde pravidelně škodí pilatka jablečná a zobonoska jablečná a zobonoska ovocná, nutno při dokvétání věnovat pozornost i těmto škůdcům. U zobonosek se potřeba ošetření zjišťuje pomoci sklepávaní imág z větví podobně jako u květopasa jabloňového. Na stromech s menší násadou plodů je potřeba sledovat ve feromonových lapačích již i nálety první generace obaleče jablečného a včas proti tomuto škůdci zasáhnout. Obdobně to platí i u obaleče švestkového na slivoních.
Mera skvrnitá
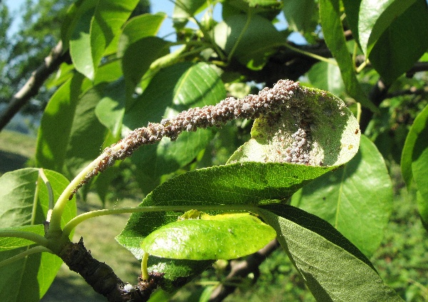
Mera skvrnitá (Cacopsylla pyri) je u nás hlavním škůdcem intenzivních výsadeb hrušní. Na rozdíl od mery jabloňové (Cacopsylla mali), jenž přezimuje ve stadiu vajíček, přezimuje v dospělém stadiu v trhlinách kůry kmenů a větví. Od konce února (nad 10 °C) samičky kladou vajíčka na kůru větviček a na šupiny pupenů. Vrchol kladení vajíček bývá v dubnu a květnu. Larvy nejprve sají v paždí rašících listů a na květních pupenech. Po třetím svlékání na líci listů a později i na letorostech a plůdcích. V průběhu května se líhnou okřídlení jedinci. Samičky kladou skupiny vajíček výhradně na zelené části větví. Listy (mladé výhony) napadených hrušní jsou ulepené medovicí, deformované, později hnědě až černě zbarvené, postupně i nekrotizují. Při silném napadení snižuje výnosy a oslabuje stromy. Má tři až čtyři generace ročně. Podzimní hnědočervená forma s velkými černými skvrnami je velká tři až čtyři milimetry. V listopadu se uchylují do zimních úkrytů. Ochrana vychází ze skutečností, žena mnoha lokalitách již byly zjištěny rezistentní populace k pyretroidům a organofosfátům. U rezistentních populací lze použít na vylíhlé nymfy před květem např. Nomolt 15 SC, Sanmite 20 WP a na pozdější ošetření proti dospělcům Vertimec 1.8 EC. Ošetření proveďte na první generaci již před květem a na druhou generaci v polovině května. Jestliže bude účinnost použitých selektivních přípravků dostatečná, nejsou další ošetření obvykle již potřebná, protože v letním období jsou populace mer regulovány přirozenými nepřáteli.
![]() |
| Mera hrušňová |
![]() |
| Mera jabloňová |
![]() |
| Mera skvrnitá |
Rez hrušňová
Rez hrušňová (Gymnosporangium sabinae) je nápadnou houbovou chorobou zejména poškozující listy hrušní. Na povrchu listů jsou patrné žluto-rezavé skvrny o průměru 0,5 cm, v jejichž středu jsou černé tečky. Ze spodu listů pozorujeme okem viditelné výrůstky pohárkovitých útvarů - aecidií. Při silnější infekci dochází k redukci nárůstu letorostů, velikosti listů i plodů, úroda je nižší, plody jsou menší a méně kvalitní. Jedná se o dvoubytnou rez, jejímiž hostiteli je hrušeň obecná a další druhy hrušní a některé druhy poléhavých jalovců. V našich podmínkách se jedná především o jalovec čínský (Juniperus chinensis) a jeho variety a výjimečně také jalovec klášterský (J. sabina). Jalovec čínský je u nás v současné době nejrozšířenějším druhem okrasného poléhavého druhu jalovce.
Rez hrušňová je škodlivé onemocnění jak pro hrušeň, tak zejména pro hostitelské druhy jalovců. Napadené větévky a větve jalovců mají světlejší zabarvení, kratší přírůstky, postupně prosychají až odumírají. Silně napadené keře mají nižší tržní i sadovnickou hodnotu. Škodlivé výskyty jsou jen na lokalitách, kde jsou vedle sebe nebo v bezprostřední blízkosti pěstovány hrušně a hostitelské jalovce. Základem ochrany je dostatečná prostorová izolace mezi oběma hostiteli (min. 150–200 m). Lze využít i chemickou ochranu. Většina přípravků účinkujících proti strupovitosti jádrovin tlumí i výskyty rzí a doporučují se použít v době před květem a krátce po odkvětu hrušní (např. Baycor 25 WP, Score 250 EC, Talentaj.).
![]() |
| Rez hrušňová na plodu |
![]() |
| Rez hrušňová na listech |
![]() |
| Rez hrušňová na druhém hostiteli jalovci |
Hálčivec jabloňový
S postupujícím oteplováním narůstají v posledních letech výskyty i škodlivost roztočů na ovocných i okrasných výsadbách. Nejedná se jenom o svilušky, ale také o různé vlnovníky a hálčivce. Hálčivec jabloňový (Aculus schlechtendali) je škůdcem zejména mladých a intenzivních výsadeb jabloní, hrušní a kdouloní. Může způsobovat závažné škody i v ovocných školkách. Poškození začíná být zjevné od začátku až poloviny června. V suchých letech jsou listy bez lesku, horní strana listů se zbarvuje dohněda a lžícovitě se prohýbá a roluje. Stromy mají stříbřitý nádech. Při silnějším výskytu dochází i k opadu listů a k zasychání vrcholků letorostů.
Pokud se přemnoží již v době květu může poškodit odrůdy náchylné na rzivost (Golden Delicious, Elstar, a také Idared). Plody jsou na povrchu rzivé a slupka je drsná. Dospělci jsou kapkovití bledě žlutobílí, 0,6–0,18 mm velcí roztoči a mají jen dva páry končetin. Přezimují samice v prasklinách kůry nebo v pupenech a na jaře kladou vajíčka. Hálčivec má i 10–12 překrývajících se generací za rok. Maximální populační hustota je v srpnu. Ve výsadbách jabloní se běžně vyskytují přirození nepřátelé hálčivce jabloňového (Zetzilica mali, Euseius finlandicus, Typhlodromus pebibis, Amblyseius andersonii). Proto počet přezimujících jedinců běžně nebývá velký a příliš rychle se nepřemnoží.
Hálčivec a vlnovník hrušňový
Hálčivec hrušňový (Phytoptus pyri) při jarním přemnožení napadá rašící listy i květy a škodí i na plůdcích. Červené puchýře na zakrnělých listech a květech postupně hnědnou až černají a roztoči se stěhují na letorosty. V Polabí byl tento roztoč zjištěn i na jabloních.
Na hrušních se také silně přemnožili vlnovníci zejména vlnovník hrušňový (Eriophyes piri) způsobující bradavičnatost listů hrušní a spolu s ním již zmiňovaný hálčivec jabloňový.
Všichni zmínění roztoči patří do příbuzenstva roztočů způsobujících známou plstnatost a kadeřavost listů révy vinné. Vyskytují se většinou na starších hrušních, ale občas se najdou i na mladých výpěstcích v ovocných školkách, protože z mateřských stromů se lehce přenesou napadenými očky při očkování nebo roubování. Oplodněné samičky škůdce přezimují v pupenech nebo v prasklinách kůry.
Chemické ošetření slabě napadených hrušní nebývá nutné. Obvykle stačí větvičky s poškozenými listy odřezat a spálit. Přípravky na hálčivce nejsou v ČR do jádrovin povoleny, ale lze předpokládat účinnost akaricidů používaných proti sviluškám. Při silnějším napadení v předcházejícím roce můžeme stromy ošetřit (obdobně jako révu vinnou) na jaře po vyrašení a za 10–14 dnů ošetření opakovat akaricidy: Magus 200 SC, Sanmite 20 WPaj. Toto ošetření omezí i případné výskyty svilušky chmelové a ovocné. V integrované ochraně možno k jejich regulaci využít i dravé roztoče např. Typhlodromus pyri.
Strupovitost na jádrovinách
Strupovitost jabloně (Venturia inaequalis) a strupovitost hrušně (Ventura pyri) si jsou v bionomii podobné, fenologicky se však ve vývoji liší. Plodnice (pseudoperithecia) i askopory jsou si morfologicky velmi podobné. Choroba poškozuje listy, plody i květy. Na listech způsobuje sazovité skvrny, které nekrotizují a silně napadené listy opadávají. Opadávají i silněji napadené květy a mladé plůdky. Větší plody jsou typicky strupovité, často se deformují a někdy i praskají. Pozdní infekce se mohou projevit i na naskladněných plodech.
Hlavní období primární infekce je zpravidla u jabloní od fáze růžového poupěte do období 2 týdny po odkvětu, kdy se z plodnic uvolňuje nejvíce askospor. U hrušní napadá choroba i letorosty, ve kterých může přezimovat. Při šíření strupovitosti hrušně proto mají velký význam i primární konidiové infekce. Konidie se uvolňují z konidioforů na napadených letorostech.
Základem úspěšné ochrany je zvládnutí primárních infekcí (duben–červen) pomocí kvalitní (preventivní i kurativní) chemické ochrany, prováděné na základě sledování průběhu počasí v intervalu 7–14 dní některým z přípravků: Baycor, Captan 50 WP, Clarinet 20 SC, Delan 700 WDG, Dithane DG NeoTec, Flint Plus, Chorus 75 WG, Merpan 80 WG, Minos, Mythos 30 SC, Polyram WG, Score 250 EC, Syllit 400 SC, Talent, Tercel, Thiram Granuflo aj.
Padlí jabloně
Padlí jabloně (Podosphaera leucotricha) je příčinou bělavých povlaků na listech, květech, letorostech a mladých plodech. Silněji napadené části hnědnou a zasychají. Na plodech je kromě toho i příčinou mramorovité korkovitosti (rzivosti). Při zanedbání ochrany dochází k tvorbě malých listů, redukci přírůstků až k zasychání silně napadených letorostů a následné zmenšení velikosti plodů.
Ochrana je nezbytná především u náchylných odrůd a v lokalitách s pravidelným výskytem padlí (slunné, suché polohy). Poprvé se ošetřuje v období 1 až 2 týdny před květem a dále podle potřeby v intervalu 7–14 dnů až do července v závislosti na infekčním tlaku, přípravky: Clarinet 20 SC, Discus, Kumulus WG, Sulikol 750 SC, Talent, Tercel, Topas 100 EC aj. Mnohé současně účinkují i na strupovitost.
Mšice na jádrovinách a peckovinách
Na jabloních také škodí monocyklická (má jeden okruh hostitelských rostlin) mšice jabloňová (Aphidula pomi). Přezimují vajíčka v blízkosti květních a listových pupenů na kůře větví a na jabloňových letorostech. V dubnu se líhnou larvy. Mšice sají na spodní straně listů. Okřídlené samičky se rozletují a zakládají kolonie na dalších stromech. Je často přehlížena, protože je žlutozelená a nemění barvu poškozených listů a letorostů. Při silnějších výskytech, kromě poškození mladých letorostů, které zasychají, poškozuje také plody. Plody podle stupně poškození, buď opadnou nebo zůstanou drobné, nahloučené, zelené, deformované bez chuti až do sklizně. Tato mšice škodí na jabloních celoročně.
Nápadnější je dicyklická mšice jitrocelová (Disaphis plantaginea). Napadené listy se zkrucují a zbarvují se do červena. Již koncem května a v červnu přelétá tato mšice ze zimního hostitele na jitrocele. Na jabloně se opět vrací až v září.
Lokálně se může škodlivě přemnožit rovněž i mšice vlnatka krvavá (Eriosoma lanigerum). V létě tvoří na větvích a na starém dřevě jabloní husté bílé vločkovité (voskové) povlaky, pokrývající kolonie mšic. Po rozmáčknutí tvoří červenou kaši. Na větvích a kořenech způsobuje nádorky, později infikované různými houbami. Větve se deformují a odumírají.
Broskvoně jsou kromě kadeřavosti, také silně poškozovány mšicí broskvoňovou (Myzus persicae) a mšicí hnízdotvornou (Appelia schwartzi). Tato poškození bývají mnohdy zaměňována s kadeřavostí. Kalamitní výskyty mšic redukují jejich přirození nepřátelé - slunéčka a jejich larvy, larvy pestřenek, larvy zlatooček, ploštice, škvoři, pavouci a někteří draví roztoči. Proto k ošetření upřednostňovat jen takové přípravky, které tyto hmyzí predátory neničí.
Účinná ochrana proti mšicím je po odkvětu při zjištění prvního výskytu,nejpozději však do konce června (většina dicyklických mšic již koncem května začíná dřeviny opouštět) přípravky: Calypso 480 SC, Mospilan 20 SP, Pirimor 25 WG - tyto insekticidy jsou šetrné k užitečnému hmyzu. I běžně používané - Reldan 40 EC*, BI - 58 EC nové, Perfekthion jsou v sadech za vegetace také podstatně šetrnější než levnější pyretroidy. Tyto je v sadech (v případě potřeby) vhodnější použít jenom na počátku vegetace.
V oblastech, kde v loňském roce i v plodných výsadbách silněji škodila mšice třešňová (Myzus cerasi), sledujte její výskyty a v případě potřeby (po odkvětu alespoň 5 kolonií na 100 letorostech) ošetřete např. přípravkem Pirimor 25 WG, Calypso 480 SC.
![]() |
| Jablka poškozená mšicí jabloňovou |
![]() |
| Mšice hrušňová |
![]() |
| Mšice jitrocelová |
![]() |
| Mšice vlnatka krvavá |
Peckoviny
V rizikových polohách ošetřujeme višně proti skvrnitosti listů (Blumeriella jaapii) a meruňky proti gnomonii, čili hnědnutí listů meruňky (Apiognomonia erythrostoma) přípravky: Baycor 25 WP, Delan 750 SC, Dithane DG Neotec, Syllit 65 WP, Talent.
Pilatky
Švestky a renklódy (zejména raně kvetoucí odrůdy) jsou místy silně poškozovány pilatkou švestkovou a žlutou (Hoplocampa minuta a H. flava). Jedná se o drobné vosičky, které v období květu slivoní nalétávají na stromy a při dokvétání kladou vajíčka do květů. Vylíhlé housenice pak vyžírají tvořící se plůdky, které opadnou. Každá housenice může zničit i několik plůdků.
Chemická ochrana se provádí při dokvétání slivoní, počátkem opadu květních plátků přípravky:Calypso 480 SC, Reldan 40 EC. Na zahradách můžete poškození plůdků tímto škůdcem také podstatně snížit včasným vyvěšením bílých lepových desek před květem, alespoň 4 ks na jeden strom z jižní strany.
Vlnovník višňový
Pěstitelům švestek také již více let (zejména v nových výsadbách) dělá starost vlnovník višňový (Aculus fockeui) způsobující kadeření, zakrňování a odumírání listů a vzrostných vrcholů na letorostech, v jehož důsledku se letorost mění na „koště“ a u silněji napadených stromů rovněž způsobuje i kornatění slupky na plodech, které díky tomu během růstu praskají a trpí klejotokem. Vlnovník višňový je především známý jako významný škůdce slivoní (meruněk i broskvoní) ve školkách. Při silném napadení ve školkách dochází k poškození terminálních vrcholů letorostů a následnému nežádoucímu větvení letorostů - metlovitosti. Přezimují samičky pod pupeny letorostů a roznášejí se při očkování ze zamořených matečnic.
Při rašení se matečnice a nejlépe i očkovanci ošetří přípravky: Magus 200 SC, Sanmite 20 WP. Dobře účinkují i sirnaté přípravky např. Sulikol 750 SC*. Pokud bylo napadení silné, je vhodné ošetření za 10–14 dní zopakovat. Ošetření pesticidy lze provádět na počátku vegetace proti přezimujícím samičkám nejlépe v době, kdy dochází k nalévání pupenů slivoní. Při silném napadení je vhodné ošetření opakovat i v průběhu vegetace - koncem léta tak, aby se zabránilo samicím v jejich přesunu a osídlení pro ně vhodných míst k přezimování. V integrované ochraně možno k jeho regulaci využít i dravé roztoče.
![]() |
| Hálčivec švestkový vyvolává výrůstky na listech |
Angrešt a rybíz
Citlivé odrůdy angreštu k hnědému padlí angreštu - americké padlí angreštové - (Sphaerotheca mors-uvae) je nutno v ohrožených výsadbách ošetřit již 1× před květem a 2–3 ošetření opakovat po odkvětu např. přípravky: Aqua Vitrin K,Bioan, Bioblatt, Bioton, Discus, HF-Mycol, Kumulus WG, NatriSan, Sulikol 750 SC* aj. K přípravkům je vhodné přidat i smáčedlo. Na rizikových lokalitách upřednostnit rezistentní odrůdy.
Na rybízu škodí především mšice rybízová (Cryptomyzus ribis) projevující se červenofialovými „puchýři“ na listech a na vrcholcích výhonků se vyskytuje mšice srstková (Aphidula grossulariae).
Jahodník
Zvláště na uzavřených zavlažovaných plochách (na citlivých odrůdách) je předpoklad hniloby plodů způsobené šedou hnilobou jahod (Botryotinia fuckeliana) - plísní šedou. Nejcitlivější k infekci jsou květy 2–3 dny po rozkvětu. Z napadených květních částí proniká mycelium do plodu. Přímé infekce plodů jsou méně významné.Kromě řádné agrotechniky (odplevelování, vyrovnané hnojení, vhodné mulčování) se u náchylných odrůd neobejdete bez včasného (na počátku kvetení) a účinného chemického ošetření, které podle potřeby po 7 dnech zopakujte přípravky: Aqua Vitrin K, Minos,Mythos 30 SC, Rovral Aquaflo, Teldor 500 SC, Thiram Granuflo a biopreparát Polyversum. Dávka aplikované jíchy je minimálně 1000 l/ha.
Květopas jahodníkový (Anthonomus rubi) způsobuje největší škody před květem jahod. Prahová hodnota pro ošetření je, pokud se prohlídkou 10 rostlin zjistí více než 20% poškozených poupat (nakouslé květní stopky, zavadlá poupata). Chemická ochrana se provádí v době před květem přípravky: Agrion Delta, Decis mega, Fast M, Karate se Zeon technologií 5 CS.
Réva vinná
Kadeřavost (akarinózu) a plstnatost (erinózu) listů révy vinné způsobují drobní roztoči z čeledi vlnovníkovitých hálčivec révový (Calepitrimerus vitis) a vlnovník révový (Colomerus vitis). Silně napadené letorosty kadeřavostí jsou výrazně zpomaleny v růstu, dochází k deformacím listů - kadeření (děravé, potrhané) až nekrózám části listů a ke sprchání až zasychání květenství. U plstnatosti jsou velice nápadné vyvýšené puchýře (na rubu vyplněny hustou plstí, v níž se roztoči zdržují), které ale jsou z hlediska skutečné škodlivosti méně významné. Tito drobní roztoči přezimují ve stadiu dospělců v puklinách kůry nebo pod šupinami pupenů. Révu ošetřujeme jen v místech, kde byly v předcházejícím vegetačním období zaznamenány příznaky. Přípravek Sulka se aplikuje po řezu před rašením. Ostatní sirnaté přípravky Kumulus WG, Sulikol K*, případně i akaricidy: např. Magus 200 SC, Omite 570 EW, Sanmite 20 WP a další aplikujte na jaře při rašení a po vyrašení révy (plně účinné při teplotách nad 15–18 °C). Podle potřeby ještě dvakrát ve 14 denních intervalech opakujte. Toto ošetření omezí i případné výskyty svilušky chmelové i ovocné. Přirozenými nepřáteli hálčivců i svilušek jsou draví roztoči.
Podle signalizace ošetřujeme proti první generaci obalečů a za suchého a teplého počasí i proti padlí révy.
Zelenina
Mšice
Sledujte výskyty a při náletu prvních mšic porosty ošetřete. Signalizaci můžete sledovat i na www.srs.cz.
Slimáčci
Ve vlhčích lokalitách pozor na poškození porostů slimáčky.
Ochrana spočívá kromě agrotechnických opatření zahrnujících kvalitní přípravu půdy s důkladným zapravením posklizňových zbytků v aplikaci moluskocidních přípravků. Proti slimákům jsou povoleny přípravky: Ferramol Schneckenkorn, Mesurol Schneckencorn a Vanish Slug Pellets. Ošetření se provádí na počátku napadení rovnoměrným posypem mezi pěstované plodiny. Ve sklenících na cestičky, pod pěstební stoly atd. Přípravek nesmí přijít do styku s ošetřovanou zeleninou.
Košťálová zelenina
V místech, kde každoročně dochází k poškození vegetačního vrcholu „vyslepnutí“ způsobené plodomorkami, dřepčíky, případně krytonosci, proveďte včas ošetření přípravky: Decis mega, Karate se Zeon technologií 5 CSaj. V polohách s pravidelným výskytem těchto škůdců pěstujte zeleninu, pokud to je možné, pod netkanou textilií. Účinnou preventivní ochranou proti plodomorce zelné je pěstování brukvovité zeleniny na sušších a zejména větrnějších stanovištích, kterým se plodomorka zelná vyhýbá. Brukvovitou zeleninu pěstujte v dostatečné vzdálenosti od loňských porostů brukvovitých (včetně řepky) a včas likvidujte na pozemku i v okolí brukvovité plevele.
Okrasné rostliny
Ve skleníkových kulturách sledujte padání vzcházejících rostlin a případné výskyty třásněnek, mšic, molic či svilušek.
U jehličnanů, zvláště na slunných suchých stanovištích, sledujte výskyty korovnic, štítenek a svilušek. V případě prvních výskytů ošetřete přípravky: Decis Mega, Karate se Zeon technologií 5 CS, Mospilan 20 SP, Perfekthion, Talstar 10 EC* (účinkuje i na svilušky) aj. Následkem sání larev korovnice smrkové (Sacchiphantes abietis) nebo korovnice zelené (Sacchiphantes viridis) vznikají na větvičkách smrků šiškovité hálky. Jsou to mšice specializované na jehličnaté dřeviny. Oba druhy napadají především stromy vysazené na sušších slunných stanovištích, kde se smrkům moc nedaří. Přezimují ve stadiu larev v paždí pupenů nebo v puklinách kůry smrků. Zpravidla v dubnu larvy přelézají na mladé výhonky a začínají sát, následkem čehož vznikají hálky. Mšice je opouštějí v polovině července, korovnice zelená přelétá na modřín, korovnice smrková na další smrky. Koncem léta se korovnice zelená vrací zpět na smrk, kde nakladou vajíčka.
Ochrana proti korovnicím spočívá především v pěstování smrků na vhodných stanovištích. Odstřiháním vytvořených hálek ještě před jejich otevřením omezíme množství korovnic v následujícím roce. Tvorbě hálek zabráníme, pokud smrky po vyrašení ošetříme přípravky: Chess 50 WG, Karate se Zeon technologií 5 CS, Mospilan 20 SP, Perfekthion, Pirimor 50 WG aj.
U mečíků (gladiol) neopomeňte před výsadbou namořit hlízy proti houbovým chorobám např. přípravkem Rovral AquaFlo, Spartakus či Sportak HF podle návodu a případně i insekticidem proti třásněnce mečíkové, která přezimuje na hlízách.
![]() |
| Hálky způsobené mšicí korovnicí smrkovou |
![]() |
| Korovnice smrková na modřínu |
* přípravek je povolen k používání pouze do spotřebování zásob
Další články v kategorii Ochrana obecně
























RSS
RSS