Aktuální přehled ochrany zahrad, sadů a vinic - březen a duben 2016
14. 03. 2016 Ochrana obecně Zobrazeno 5306x
Při integrovaném způsobu ochrany je nutno každoročně vyhodnocovat množství přezimujících škůdců. Pokud výskyt některého škůdce nepřekročí kritické číslo - ekonomický prah škodlivosti (EPŠ), ošetření se neprovádí a sleduje se jejich další vývoj. Slabý (neškodný) výskyt nepřesahující EPŠ je vhodné tolerovat. Při překročení kritického čísla (EPŠ) proveďte ošetření proti přezimujícím škůdcům. Nejlépe až jsou stromy dostatečně vyrašeny (podle použitého přípravku) až do fáze zeleného až růžového poupěte, nejpozději do počátku květu, na líhnoucí se nebo vylíhlé škůdce.
Ovocné dřeviny
V systému integrované produkce ovoce se využívají ekologicky a ekonomicky přijatelná opatření, která pozitivně usměrňují produkci a kvalitu ovoce, se zaměřením na omezení negativních vlivů na životní prostředí a minimalizaci obsahu cizorodých látek v plodech. Významným předpokladem pro uplatnění integrované produkce je výběr vhodných stanovišť, odrůd a technologických pěstitelských postupů. Základem je integrovaná ochrana rostlin, při které se využívají všechny ekonomicky, ekologicky a toxikologicky přijatelné metody pro udržení škodlivých činitelů pod hladinou prahu škodlivosti s přednostním záměrným využitím přirozených omezujících faktorů (rezistentní odrůdy, biologické a nechemické způsoby ochrany) viz. www.ovocnarska-unie.cz.
Přezimující škůdci
Při integrovaném způsobu ochrany je nutno každoročně vyhodnocovat množství přezimujících škůdců. Pokud výskyt některého škůdce nepřekročí kritické číslo - ekonomický prah škodlivosti (EPŠ), ošetření se neprovádí a sleduje se jejich další vývoj. Slabý (neškodný) výskyt nepřesahující EPŠ je vhodné tolerovat. Tím nejen snížíte náklady, ale zachováte i dostatek přirozené potravy pro užitečné organizmy (slunéčka, pestřenky, dravé ploštice, roztoče, ptáky ad.), které jsou pak při dostatečném množství schopny udržovat výskyt mnohých škůdců v podprahovém množství. Výhodou případné jarní ochrany ovocných stromů je také jen minimální riziko případného zamoření ovoce rezidui (zbytky) použitého přípravku a nižší úroveň poškození užitečných živočichů, kteří se většinou do výsadeb soustřeďují z okolí až po odkvětu ovocných stromů. Mnozí sadaři hodnotí napadení chorobami či škůdci až v období, kdy je většina přezimujících škůdců vylíhnutá a při prohlídce dobře patrná. U jádrovin prohlížíme květní nebo listové růžice. Orientační kritická čísla (EPŠ) jsou stanovena na 100 růžic: 5 růžic napadených mšicí jabloňovou nebo 2 růžice napadené mšicí jitrocelovou; 100 a více larev mery jabloňové; 3 a více housenek píďalek; 3 a více housenek pupenových obalečů (růžička listů je sbalena a opředena); 3 a více brouků květopasa jabloňového na 100 poupat.
Při překročení kritického čísla (EPŠ) proveďte ošetření proti přezimujícím škůdcům. Nejlépe až jsou stromy dostatečně vyrašeny (podle použitého přípravku) až do fáze zeleného až růžového poupěte, nejpozději do počátku květu, na líhnoucí se nebo vylíhlé škůdce, přípravky: Mospilan 20 SP, Calypso 480 SC, Přezimující škůdci, Jarní souprava na jabloně případně Reldan 22 v tank-mixu s Ekolem. V případě většího výskytu vajíček svilušek (nad 1000 kusů) použijte i vhodný akaricid: Ortus 5 SC, Nissorun 10 WP, Sanmite 20 WP*, Masai. Použít je možno i samotné přípravky na bázi řepkového oleje (Ekol, Biool) nebo přírodního oleje Pongamia pinnata (Rock Effect) . Teplota při ošetření má být vyšší než 5–7 °C (optimálně nad 10 °C). Čím později (do počátku květu) přípravek použijeme, tím lepší bude i jeho dusivý efekt a celková účinnost. Nepoužívat za mrazu ani v době očekávaných mrazů, zvláště u přípravků obsahujících olej, které nebezpečí poškození mrazem zvyšují.
Lokality s pravidelným výskytem štítenky zhoubné se doporučuje chemicky ošetřit až na počátku fáze růžového poupěte (a později), kdy již dochází k rozlézání nymf první generace přípravkem: Mospilan 20 SP nebo přípravkem vykazujícím vedlejší účinky proti štítence Calypso 480 SC v tank-mixu s Ekolem.

Vyrašené pupeny jabloně – ošetření proti přezimujícím škůdcům
Pilatka a zobonosky
V oblastech, kde pravidelně škodí pilatka jablečná a zobonosky - nejčastěji zobonoska jablečná a ovocná, je nutné při dokvétání věnovat pozornost i těmto škůdcům.
U zobonosek se potřeba ošetření zjišťuje sklepáváním brouků z větví podobně jako u květopasa jabloňového.
Zásah v ostatních dřevinách se provádí v průběhu rašení podle signalizace. Předpokladem dobré účinnosti je dokonalé pokrytí stromů postřikovou jíchou. Na prohlídku a případné ošetření by se nemělo zapomenout ani u drobného ovoce a okrasných dřevin, které mohou být rovněž hostiteli některých chorob a škůdců.

Jablko poškozené pilatkou jablečnou
Choroby jádrovin
Za deštivého počasí, zvláště v době kvetení a po odkvětu, se může projevit silný nárůst chorob - strupovitosti jabloně (Venturia inaequalis), strupovitosti hrušně (V. pyrina) i padlí jabloně (Podosphaera leucotricha) proti kterým můžeme i preventivně aplikovat fungicidy - proti padlí jabloně: Tercel, Diskus, Talent, Systane 12 EC, Topas 100 EC, Fontelis, Kumulus WG, Sulfurus, Sulfolac 80 WG, Domark 10 EC aj. a proti strupovitosti: Chorus 75 WG, Delan 700 WDG, Tercel, Captan 50 WP, Merpan 80 WG, Dithane DG Neotec, Novozir MN 80 NEW, Polyram WG, Antre 70 WG, Batalion 450 SC, Minos, Mytos 30 SC, Pyrus 400 SC, Thiram Granuflo aj.
V oblastech s výskytem rzivosti hrušně (Gymnosporangium sabinae) se hrušně ošetřují i proti této chorobě např. přípravkem: Difcor 250 EC, Horizon, Score 250 EC, Delan 700 WDG, Luna Experience, Flint Plus, Dithane DG Neotec, Novozir MN 80 New, Talent aj. Aplikované fungicidy možno kombinovat s výše uvedenými insekticidními přípravky.

Rzivost hrušně
Preventivní opatření
Nejpozději během předjarního řezu musíme ze stromů odstranit zdroje infekce - mumifikované zbytky plodů jádrovin a peckovin napadených moniliniovou hnilobou plodů, dále odstranit letorosty, případně konce letorostů u jabloní a angreštu napadených padlím. Již samotný kvalitní předjarní řez slouží nejen k regulaci růstu a násady plodů, ale i k omezení výskytu a šíření houbových chorob. Je to dáno tím, že řezem zajistíme dostatečnou vzdušnost a prosvětlení korun stromů, a tím podstatně omezíme příhodné podmínky pro vznik a šíření infekce.
Pokud v průběhu jara (v případě zjištění nadkritických počtů) nedojde k účinné regulaci chorob a přezimujících stadií škůdců, dochází potom k jejich rychlé populační expanzi, která se později jen obtížně zvládá.
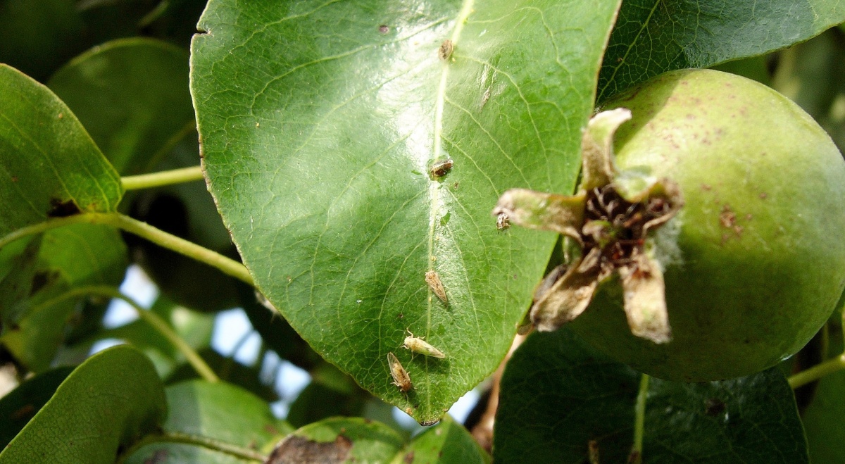
Mera skvrnitá
Jestliže v minulém roce v sadu škodila na hrušních mera skvrnitá, je třeba zahájit ochranu proti ní již v březnu. Mera skvrnitá je u nás jedním hlavních škůdců intenzivních výsadeb hrušní a má 3–4 generace v roce. Na rozdíl od mery jabloňové, jenž přezimuje ve stadiu vajíček, přezimuje v dospělém stadiu v trhlinách kůry kmenů a větví často i ve výsadbě hrušní. Začíná být aktivní od konce února a v průběhu března. Mery jsou v tomto období v hrušňových sadech dominantním druhem a jejich přítomnost lze snadno zjistit i pomocí sklepávadla. Při teplotách nad 9 °C (již v únoru) kladou samičky vajíčka na kůru větviček a na šupiny pupenů. Vrchol kladení vajíček bývá v dubnu a květnu. Larvy se líhnou již před květem a sají na rašících listech i květních pupenech. Po třetím svlékání na líci listů a později i na letorostech a plůdcích. V průběhu května se líhnou okřídlení jedinci. Samičky kladou skupiny vajíček výhradně na zelené části větví. Listy (mladé výhony) napadených hrušní jsou ulepené medovicí, deformované, později hnědě až černě zbarvené, postupně i nekrotizují. Při silném napadení snižuje výnosy a oslabuje stromy. Podzimní hnědočervená forma s velkými černými skvrnami je velká 3 až 4 milimetry. V listopadu se uchylují do zimních úkrytů.
Ochrana - na mnoha lokalitách již byly zjištěny rezistentní populace mery vůči pyretroidům a organofosfátům. Na těchto lokalitách je nezbytné aplikovat již v předjaří řepkový olej (Ekol, Biool) s kaolinem a 2–3× po 7–10 dnech opakovat nebo přípravek Rock Effect. Toto ošetření omezí pohyb, dezorientuje a omezuje kladení přezimujících samiček. Na zjištěná vajíčka a nymfy aplikujte Sanmite 20 WP, na nymfy SpinTor a na pozdější ošetření proti dospělcům použijte Vargas, Vertimec 1.8 EC. Ošetření proveďte proti první generaci již před květem a proti druhé generaci v polovině května. Jestliže bude účinnost použitých selektivních přípravků dostatečná, nejsou další ošetření obvykle již potřebná, protože v letním období jsou populace mer již regulovány přirozenými nepřáteli - pavouky, dravými plošticemi, škvory, slunéčky, pestřenkami aj. (pokud jste je nezahubili neselektivními insekticidy).

Mera skvrnitá
Kadeřavost listů broskvoně
Ochrana proti této chorobě je založena na důsledném preventivním ošetření fungicidy, nejpozději v období těsně před naléváním terminálních pupenů před rašením. Délku infekčního období rozhodujícím způsobem ovlivňuje teplota. Za chladného období je vývoj zpomalen a infekční období může trvat 5 až 6 týdnů. Některý rok nastane optimální termín ošetření již koncem ledna a jindy až v dubnu. Na základě posledních zkušeností se doporučuje ošetřovat, v případě výskytu teplých period v zimním období, pokud teplota vzduchu dosáhne po několik dnů 7–9 °C. Toto období se přibližně shoduje s dobře patrnou fenofází květu lísky obecné, tj. když začnou na lískových keřích prášit jehnědy. Fungicidní ošetření se provádí každý rok bez ohledu na výskyt choroby v předcházejícím vegetačním období!
K tomuto základnímu ošetření lze doporučit měďnaté fungicidy: Cuprocaffaro, Flowbrix, Funguran-OH 50 WP, Champion 50 WP, Kocide 2000, Korzar, Kuprikol 50, Kuprikol 250 SC aj. nebo organické fungicidy: Delan 700 SC, Delan 700 WDG, Syllit 65 WP, Dithane DG Neotec, Novozir MN 80 NEW, Thiram Granuflo. Používané účinné látky působí převážně kontaktně, takže fungicidem musí být dokonale ošetřeny celé koruny stromů. Pro lepší pokryvnost je vhodné přidat do postřikové jíchy k těmto kontaktním přípravkům ještě smáčedlo např. Silwet Star aj. Také můžeme před rašením použít proti kadeřavosti 4% přípravek Síra SK 520 (náhrada Sulky), který účinkuje i proti roztočům. V případech, kdy při rašení a po vyrašení převládá deštivé počasí, je nutno aplikovat lokálně systémový fungicid Syllit 65 WP, případně i Delan 700 WDG, Delan 750 SC či Thiram Granuflo a ošetření dle potřeby v intervalu 7–10 dní 1–2× opakovat.
Fungicidní ošetření po vyrašení broskvoní nebo po objevení příznaků choroby je již neúčinné!

Proti kadeřavosti broskvoně se zasahuje každoročně
Moniliniová spála peckovin
Všeobecně peckoviny, zejména meruňky a višně, jsou napadány v květu houbami Monilia laxa a M. fructicola způsobující moniliniovou spálu. Při silném infekčním tlaku může být zničeno až 100 % květů a houba může následně poškozovat i letorosty a prorůstat i do kosterních větví. Jednotlivé květy, plodné větévky nebo i celé větve hnědnou a zasychají, jsou jakoby spálené a při silnější infekci je na větvích později pozorován i silný výron jantarově zbarvené hmoty (klejotok). K infekci dochází v době kvetení jednotlivých ovocných druhů především za chladného a deštivého počasí. Houba přezimuje v tzv. moniliových mumiích ovoce, z nichž se na jaře uvolňuje ohromné množství spor.
Základem ochrany je včasné, důsledné odstraňování a likvidace napadených (mumifikovaných) plodů - hlavního zdroje infekce a napadených větviček. Fungicidní ošetření je účinné v době začátku kvetení a pokud trvá deštivé a chladné počasí (souvislé ovlhčení listů je delší než 15 hodin, případně relativní vzdušná vlhkost je vyšší než 80 %) opakujeme ošetření při dokvétání, přípravky: Teldor 500 SC, Talent, Sporgon 50 WP, Signum, Abilis Ultra, Horizon 250 EW, Lynx, Ornament 250 EW, Zato.

Moniliniová spála peckovin
Pilatka na slivoních
Zejména zejména časně kvetoucí odrůdy jsou silně poškozovány pilatkou švestkovou a pilatkou žlutou. Napadení pilatkami může být také jednou z příčin slabé násady plodů. Jedná se o drobné vosičky, které v období květu slivoní nalétávají na stromy a při dokvétání kladou vajíčka jednotlivě do květních kalichů. Vylíhlé bělavé housenice pak vyžírají tvořící se plůdky, které opadnou. Postupně housenice opouští zavadající plůdek a vžírá se do dalšího plůdku a může poškodit i 3–4 plody. Dospělé housenice opouštějí plody a přezimují v zámotcích v půdě. Typické projevy napadení po odkvětu jsou na opadlých plůdcích černé tečky, u větších plůdků (do velikosti 1 cm) i zřetelné černé otvory s trusem housenic. Rozdrcená larva i poškozený plod mají zvláštní nepříjemný zápach po štěnicích.
Chemická ochrana se optimálně provádí při dokvétání slivoní, v době opadu cca 80–90 % květních plátků. Doporučená je ochrana přípravky: Calypso 480 SC, Decis Mega, Fast M. Upozornění - použití pyretroidů v ovocných dřevinách se, především z důvodu vysoké toxicity pro užitečné členovce, během vegetace nedoporučuje! Z těchto důvodů je aplikujte jenom na počátku vegetace!
Prahová hodnota pro ošetření bývá překročena, pokud se na konci květu slivoní v kontrolované výsadbě v náhodně odebraném vzorku 100 nejvyvinutějších odkvetlých kvítcích, na nejdříve kvetoucí odrůdě zjistí nejméně :
- 5 kalichů květů s vajíčky, jizva po napadení pilatek při slabé až střední násadě květů nebo
- 10 kalichů květů kvítků s vajíčky, jizva po napadení pilatek při silné násadě květů;
- případně 10 dospělců pilatek na jednu lepovou desku za dva dny.
Na zahradách lze poškození plůdků tímto škůdcem podstatně snížit včasným vyvěšením bílých lepových desek. Desky se vyvěšují před květem raných odrůd, alespoň čtyři kusy na strom z jeho jižní strany.

Poškození plodů pilatkou švestkovou
Hnědé padlí angreštu
Citlivé odrůdy angreštu se ošetřují proti hnědému padlí angreštu (Podosphaera mors-uvae) při rašení (před květem) a opakovaně 2–3× po odkvětu v intervalech 5–10 dní (dodržet ochranou lhůtu) přípravky: Americké padlí Stop, Discus, Zato, Topas100 EC a Kumulus WG, Sulfolac 80 WG, Sulfurus nebo bio přípravky: Bioan, Bioblatt, Bioton aj. podle návodu k použití, nejlépe preventivně počátkem kvetení a nejpozději po odkvětu. Tzv. rezistentní (odolné) odrůdy je vhodné také ošetřit alespoň preventivně, nejlépe počátkem kvetení. K aplikovaným přípravkům se doporučuje přidat i vhodné smáčedlo. Účinný je také postřik keřů po sklizni. Ohrožené výsadby černého a bílého rybízu se ošetřují výjimečně 1× před sklizní (dodržet ochrannou lhůtu) a 1× po sklizni.
Výskyt onemocnění můžete také omezit vhodnou agrotechnikou - výsadna na otevřené poloze, s menší vzdušnou vlhkostí, na střední půdy, s vyrovnanou výživou (nepřehnojovat dusíkem) a hlubším řezem, tj. vzdušnou korunkou stromků či keřů. Důsledně odstraňovat a likvidovat napadené části keřů. Na rizikových lokalitách upřednostnit odrůdy odolné.

Hnědé padlí angreštu
Rez ostružinová
S rozšířením pěstování beztrnných ostružin a v důsledku mírných zim se v některých oblastech silně rozšířila rez ostružinová (Kuehneola albida). Přezimuje v infikovaných výhonech (které jsou citlivější k poškození mrazem), na nichž se na jaře objevují fialovočervené zduřeniny. V těchto místech pokožka větve praská a uvolňují se žluté spory, infikující spodní strany listů ostružiníků. Za deštivého počasí se rez může na listech rychle rozšířit. Silně napadené listy předčasně opadávají, což může mít negativní vliv na úrodu.
Ochrana - Mechanicky můžeme silné napadení omezit včasným (již při rašení) odstraněním všech napadených výhonů. Pokud možno i pěstitelé v okolí. S preventivními postřiky ohrožených ostružiníků je nutné začít krátce po vyrašení rostlin a ošetření aspoň dvakrát v desetidenních intervalech zopakovat přípravkem: Amistar. Proti jiným chorobá s vedlejší účinností na rzi je do maliníku, ostružiníku povolen přípravek Signum.

Rez ostružinová na výhonu
Réva vinná
Píďalka trnková - různorožec trnkový
Housenky (šedohnědé píďalky 1–3 cm dlouhé) přezimují na kmíncích, sloupcích vedení a v půdě, škodí na jaře při rašení révy vykusováním pupenů a mladých listů. Na lokalitách s výskytem tohoto škůdce doporučujeme keře révy vinné při rašení chemicky ošetřit. K chemické ochraně lze použít přípravek: Steward dle metodiky. V systému organické produkce je možno použít preparáty na bázi Bacillus thuringiensis kurstaki (Biobit XL).
Kadeřavost a plstnatost
Kadeřavost a plstnatost listů révy vinné způsobují drobní roztoči z čeledi vlnovníkovitých vlnovník viničný (hálčivec révový) a vlnovník révový (vlnovníkovec révový). Silně napadené letorosty kadeřavostí jsou výrazně zpomaleny v růstu, dochází k deformacím listů: kadeření (děravé, potrhané) až hnědnutí (nekrózám) části listů a ke sprchání až zasychání květenství. U plstnatosti jsou na listech velice nápadné vyvýšené puchýře (na rubu vyplněny hustou plstí, v níž se roztoči zdržují), avšak z hlediska skutečné škodlivosti méně významné. Tito drobní - mikroskopičtí roztoči (jen 0,15 mm dlouzí) přezimují ve stadiu dospělců v puklinách kůry nebo pod šupinami pupenů.
Ochrana - Réva se ošetřuje jen na místech, kde byly v předcházejícím vegetačním období zaznamenány příznaky kadeřavosti nebo plstnatosti. Sirnatý přípravek Kumulus WG se aplikuje při rašení nebo těsně po vyrašení révy. Lze předpokládat, že proti vlnovníkům by mohl být také účinný i znovu nabízený přípravek (hnojivo) Sulka-K, Sulka New, Sulka Extra aplikovaný před vyrašením. Organický akaricid Sanmite 20 WP se aplikuje nejlépe po vyrašení révy. Toto ošetření omezí i případné výsky svilušky ovocné.
Jako biologická ochrana proti fytofágním roztočům (sviluškám a vlnovníkům) se s úspěchem používá uměle vysazovaný dravý roztoč Typhlodromus pyri - pod obchodními názvy Biolaagens-TP a Typhlodromus pyri. Dravý roztoč nikdy populaci škůdce nevyhubí úplně, ale udržuje přirozenou rovnováhu, která vyhovuje i rostlinám. Dravý roztoč je schopný živit se též pylem rostlin, případně může i krátkodobě hladovět, proto přežívá i v době, kdy se fytofágní roztoči v lokalitě nevyskytují. Typhlodromus pyri ve vinicích přezimuje. Díky těmto vlastnostem je schopen potlačovat výskyt škodlivých roztočů i dlouhodobě, ale pouze za předpokladu, že se také dlouhodobě používají jen přípravky selektivní k dravému roztoči. Vůbec nejvyšší riziko představuje použití insekticidů na bázi syntetických pyretroidů. Tyto látky hubí dravé roztoče již v neuvěřitelně nízkých koncentracích! Obecně platí, že je nutné řídit se doporučeními dodavatele konkrétní populace dravého roztoče. Toto platí i v ostatních ovocných výsadbách.

Kadeřavost révy

Plstnatost révy
Zelenina
Nejenom ovocné stromy jsou napadány a poškozovány chorobami a škůdci, ale také musíme na jaře věnovat patřičnou pozornost pěstované zelenině.
Slimáčci
V uzavřených pěstebních prostorách a na vlhčích lokalitách pozor na poškození porostů slimáčky. Kvůli ideální podmínky, které jsou v zahradnických kulturách, je škodlivost plžů trvalá po celé vegetační období. Poškození často bývá vstupní branou pro houbové a bakteriální choroby. Proti plžům jsou povoleny tyto návnadové přípravky: Axcela, Lumex, Metarex Inov, Metin, Slimax, Desimo Duo aj. a také Ferramol a Sluxx HP nebo Tymatol. Ošetření se provádí na počátku napadení rovnoměrným posypem mezi pěstované plodiny, na cestičky, pod pěstební stoly. Nesmí přijít do styku s ošetřovanou zeleninou. Z biologických přípravků lze použít: Nemaslug, Phasmarhabditis-System na bázi parazitických hlístic Phasmarhabditis hermaphrodita. Aplikuje se zálivkou ošetřované plochy suspenzí s bioagens, preventivně nebo i kurativně dle návodu. Teplota substrátu nesmí klesnout pod 5 °C, optimum je při 15–20 °C, po dobu působení musí být půda nebo substrát optimálně vlhký.
„Vyslepnutí“ (bezsrdéčkovitost) košťálovin
Zejména u květáku a kedluben může být způsobováno více faktory. Nejčastěji je to způsobováno růstovým šokem u předpěstované sadby - náhlé změny, mráz, sucho aj. U květáku může být také hlavní příčinou nedostatek přijatelného molybdenu. Lokálně způsobují vyslepnutí svými požerky také larvy krytonosce čtyřzubého nebo plodomorky zelné. Toto poškození může také způsobit napadení mladých rostlin dřepčíky nebo mšicí zelnou.
V polohách s pravidelným výskytem těchto škůdců pěstujte zeleninu (pokud je to možné) pod netkanou textilií. Pro chemického ošetření lze použít některý z přípravků povolených proti dřepčíkům.
Dřepčíci
Dřepčíci poškozují hlavně ředkvičky a košťáloviny. Největší škody způsobují na chráněných výhřevných plochách. Ředkvičky ošetřujeme např. pyretroidem: Decis Mega a Karate se Zeon technologií 5 CS. U košťálovin můžete použít i některý z dalších pyretroidů: Agrion Delta, Fast M, Samuraj aj.
Mšice
Sledujte výskyty mšic a při náletu prvních jedinců porosty ošetřete. Na mšice jsou registrovány: Danadim Progress, Reldan 22 a dále Pirimor 50 WG, Ninja, Plenum, Calypso 480 SC.

Mšice na salátu

Mšice zelná na hlávce kapusty

Vyslepnutí košťálovin
Trávník
Růžová sněžná plísňovitost (plíseň sněžná)
Jedná se o chorobu, která ohrožuje porosty během zimy i v časném jaru a může podstatně přispět k jejich vyzimování. Původcem této choroby je fytopatogenní houba Monographella nivalis, která napadá obilniny a trvalé travní porosty. Po sejití sněhu na jaře se mohou (na citlivých druzích trav - jílek vytrvalý, psinečky, lipnici roční aj.) objevovat bílošedé až narůžovělé skvrny, povlaky, které působením slunce většinou zmizí bez většího poškození trávníku. Této chorobě se daří při vyšší vlhkosti, napadne-li sníh na nezmrzlou půdu, přehnojením dusíkem, větším množství zelené hmoty (neposečený trávník), ale i stařiny, vyšším pH a na zamokřeném pozemku.
Na jaře je používání fungicidů již zbytečné. Většinou stačí napadené místo vyhrabat, provzdušnit (skarifikovat), odstranit odumřelou hmotu a nechat vyschnout. Případně přihnojit nebo použít podpůrný prostředek k regeneraci trávníku Kouzlo přírody Trávník a prázdná místa doset odolnějšími druhy trav (kostřava aj.).
Zaplevelení trávníku
Po oteplení na jaře nebo po první seči, když plevele vytvoří dostatečnou listovou plochu, je vhodné ošetřit zaplevelený trávník vhodným herbicidem. Jednoleté dvouděložné plevele (lebedy, merlíky, kokoška, penízek a řada dalších) jsou typické pro nově založené trávníky, pravidelným kosením rychle ustupují a většinou nevyžadují radikální zásah v podobě herbicidního ošetření. Ve starších zapojených trávnících se již zpravidla neobjevují.
Poněkud větší problém představují vytrvalé dvouděložné plevele: smetánka lékařská, jitrocele, bodláky, šťovíky, jetel plazivý, popenec břečťanolistý apod. Tyto druhy se přizpůsobí pravidelnému režimu kosení a v trávníku se dále rozšiřují. Účinnou ochranou je použití herbicidních přípravků: Banvel 480 S, Dicotex, Progazon, Starane 250 EC, Starane Forte, Tomigan 250 EC, Tomahawk, Cliophar 300 SL, Lontrel 300, Bofix, Weedex, Travin, Floria Likvidátor plevele v trávníku. Vhodným termínem ošetření je druhá polovina dubna a měsíc květen, kdy mají plevele již dostatečně vyvinutou listovou plochu, ale ještě se plně nerozvinuly. Ošetření je možné provést i v dalších měsících, je však potřeba počítat s poněkud vyššími aplikačními dávkami. Vhodná teplota vzduchu pro ošetření se pohybuje v rozmezí 12–20 °C.
Na nežádoucí náletové dřeviny a odolné dvouděložné plevele: křídlatka, šťovík, bršlici kozí nohu, bolševník aj. je pro lokální aplikaci povolen: Garlon New.
Upozornění - První seč trávníku po aplikaci herbicidních přípravků, zvláště s účinnou látkou clopyralid (Bofix, Cliophar 300 SL, Lontrel 300, Travin, Floria Likvidátor plevele v trávníku Weedex) nepoužívejte jako mulč ani pro kompostování. Na zahradě je jí možno maximálně využít jako herbicidní mulč k jádrovinám, případně k dalším odolným dřevinám. Další tři seče mohou být použity pro mulčování odolných rostlin. Tento materiál může obsahovat rezidua, která by mohla poškodit citlivé rostliny, zejména hrách, fazol, bob, lupinu, jeteloviny a ostatní luskoviny; mrkev, petržel, pastinák a další miříkovité rostliny; brambory, papriky, rajčata a další lilkovité, hlávkový salát, čekanku a další hvězdnicovité včetně okrasných rostlin a plodiny pěstované v chráněných prostorách!

Proti plevelům v trávníku je k dispozici řada přípravků
Další články v kategorii Ochrana obecně


























RSS
RSS